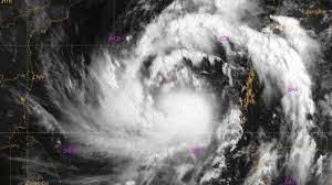
ਬੰਗਾਲ ਦੀ ਖਾੜੀ (Bay of Bengal ) 'ਚ ਉਠੇ ਚੱਕਰਵਾਤੀ ਤੂਫਾਨ ਅਸਾਨੀ (Cyclone Asani) ਨੂੰ ਲੈ ਕੇ ਐਤਵਾਰ ਨੂੰ ਵੱਡਾ ਅਪਡੇਟ ਆਇਆ ਹੈ। ਮੌਸਮ ਵਿਭਾਗ (IMD) ਨੇ ਐਤਵਾਰ ਨੂੰ ਕਿਹਾ ਹੈ ਕਿ ਅਸਾਨੀ ਚੱਕਰਵਾਤ ਅਗਲੇ 12 ਘੰਟਿਆਂ ਵਿੱਚ ਇੱਕ ਵੱਡੇ ਚੱਕਰਵਾਤੀ ਤੂਫ਼ਾਨ ਵਿੱਚ ਬਦਲ ਸਕਦਾ ਹੈ। ਉਨ੍ਹਾਂ ਮੁਤਾਬਕ ਅਸਾਨੀ ਹੁਣ ਉੱਤਰ-ਪੱਛਮ ਦਿਸ਼ਾ ਵੱਲ ਵਧੇਗਾ ਅਤੇ ਅਗਲੇ 12 ਘੰਟਿਆਂ 'ਚ ਇਹ ਵੱਡੇ ਤੂਫਾਨ 'ਚ ਬਦਲ ਜਾਵੇਗਾ।

 
ਇਸ ਤੋਂ ਪਹਿਲਾਂ ਕਿਹਾ ਗਿਆ ਸੀ ਕਿ ਐਤਵਾਰ ਨੂੰ ਦੱਖਣ-ਪੂਰਬੀ ਖੇਤਰ 'ਤੇ ਬਣਿਆ ਡੂੰਘਾ ਦਬਾਅ ਵਾਲਾ ਖੇਤਰ ਪਿਛਲੇ ਛੇ ਘੰਟਿਆਂ ਦੌਰਾਨ 16 ਕਿਲੋਮੀਟਰ ਪ੍ਰਤੀ ਘੰਟਾ ਦੀ ਰਫ਼ਤਾਰ ਨਾਲ ਅਸਾਨੀ 'ਚ ਬਦਲ ਕੇ ਪੱਛਮ-ਉੱਤਰ-ਪੱਛਮੀ ਦਿਸ਼ਾ ਵੱਲ ਵਧਿਆ ਹੈ। ਚੱਕਰਵਾਤੀ ਤੂਫਾਨ 'ਅਸਾਨੀ' 8 ਮਈ ਨੂੰ ਸਵੇਰੇ 8:30 ਵਜੇ ਬੰਗਾਲ ਦੀ ਖਾੜੀ 'ਤੇ 13 ਕਿਲੋਮੀਟਰ ਪ੍ਰਤੀ ਘੰਟਾ ਦੀ ਰਫਤਾਰ ਨਾਲ ਉੱਤਰ-ਪੱਛਮ ਵੱਲ ਵਧਿਆ ਅਤੇ ਨਿਕੋਬਾਰ ਟਾਪੂ ਸਮੂਹ ਤੋਂ ਲਗਭਗ 480 ਕਿਲੋਮੀਟਰ ਦੂਰ ,ਪੋਰਟ ਬਲੇਅਰ (ਅੰਡੇਮਾਨ ਦੀਪ ਸਮੂਹ) ਤੋਂ ਲਗਭਗ 480 ਕਿਲੋਮੀਟਰ ਪੱਛਮ ਵਿਚ ਦੂਰ,ਆਂਧਰਾ ਪ੍ਰਦੇਸ਼ ਦੇ ਵਿਸ਼ਾਖਾਪਟਨਮ ਤੋਂ 940 ਕਿਲੋਮੀਟਰ ਦੱਖਣ-ਪੂਰਬ 'ਤੇ ਕੇਂਦਰਿਤ ਸੀ।  
 
ਕੋਲਕਾਤਾ ਨਗਰ ਨਿਗਮ ਦੇ ਕਰਮਚਾਰੀਆਂ ਦੀਆਂ ਛੁੱਟੀਆਂ ਰੱਦ
ਇਸ ਦੇ ਨਾਲ ਹੀ ਤੂਫਾਨ ਦੇ ਮੱਦੇਨਜ਼ਰ ਆਂਧਰਾ ਪ੍ਰਦੇਸ਼, ਉੜੀਸਾ ਅਤੇ ਪੱਛਮੀ ਬੰਗਾਲ ਲਈ ਮੌਸਮ ਵਿਭਾਗ ਵੱਲੋਂ ਅਲਰਟ ਜਾਰੀ ਕੀਤਾ ਗਿਆ ਹੈ। ਇਸ ਦੇ ਨਾਲ ਹੀ ਕੋਲਕਾਤਾ ਨਗਰ ਨਿਗਮ ਦੇ ਸਾਰੇ ਕਰਮਚਾਰੀਆਂ ਦੀਆਂ ਛੁੱਟੀਆਂ ਰੱਦ ਕਰ ਦਿੱਤੀਆਂ ਗਈਆਂ ਹਨ। ਕੋਲਕਾਤਾ ਦੇ ਮੇਅਰ ਫਿਰਹਾਦ ਹਕੀਮ ਨੇ ਐਤਵਾਰ ਨੂੰ ਇਹ ਜਾਣਕਾਰੀ ਦਿੱਤੀ। ਹਕੀਮ ਨੇ ਕਿਹਾ ਹੈ ਕਿ ਜੇਕਰ ਚੱਕਰਵਾਤ ਸ਼ਹਿਰ ਨਾਲ ਟਕਰਾਉਂਦਾ ਹੈ ਤਾਂ ਅਸੀਂ ਕਿਸੇ ਵੀ ਸਥਿਤੀ ਨਾਲ ਨਜਿੱਠਣ ਦੀ ਤਿਆਰੀ ਕਰ ਰਹੇ ਹਾਂ ਤਾਂ ਜੋ ਜਲਦੀ ਤੋਂ ਜਲਦੀ ਜਨਜੀਵਨ ਆਮ ਵਾਂਗ ਹੋ ਸਕੇ। ਪਿਛਲੇ ਤਜ਼ਰਬਿਆਂ ਤੋਂ ਸਬਕ ਸਿੱਖੇ : ਮੇਅਰ
ਹਕੀਮ ਨੇ ਕਿਹਾ ਕਿ ਮਈ 2020 ਵਿੱਚ ਚੱਕਰਵਾਤ ਅਮਫਾਨ ਦੇ ਵਿਨਾਸ਼ਕਾਰੀ ਪ੍ਰਭਾਵਾਂ ਤੋਂ ਸਬਕ ਲੈਂਦੇ ਹੋਏ, ਮਿਉਂਸਪਲ ਪ੍ਰਸ਼ਾਸਨ ਨੇ ਡਿੱਗੇ ਦਰਖਤਾਂ ਅਤੇ ਹੋਰ ਮਲਬੇ ਕਾਰਨ ਪੈਦਾ ਹੋਏ ਰੁਕਾਵਟਾਂ ਨੂੰ ਦੂਰ ਕਰਨ ਲਈ ਕ੍ਰੇਨ, ਇਲੈਕਟ੍ਰਿਕ ਆਰੇ ਅਤੇ ਬੁਲਡੋਜ਼ਰ (ਅਰਥਮਵਰ) ਨੂੰ ਅਲਰਟ ਰੱਖਣ ਵਰਗੇ ਸਾਰੇ ਉਪਾਅ ਕੀਤੇ ਹਨ। ਉਨ੍ਹਾਂ ਕਿਹਾ, 'ਸਾਨੂੰ ਸਮਝ ਨਹੀਂ ਆਇਆ ਕਿ ਅਮਫਾਨ ਦਾ ਅਸਲ ਵਿੱਚ ਕੀ ਪ੍ਰਭਾਵ ਹੋ ਸਕਦਾ ਹੈ ਪਰ ਆਪਣੇ ਤਜ਼ਰਬੇ ਤੋਂ ਸਿੱਖ ਕੇ ਅਸੀਂ ਸਾਰੇ ਤਿਆਰੀ ਕਰ ਰਹੇ ਹਾਂ।